【ユーカリ紹介-64】
ユーカリ・プラティパス (Eucalyptus platypus)続きまして第64回目は
とても西オーストラリア的な低木品種で
ニスを塗ったかのような光沢の強い
鮮やかな緑色の葉が特徴的な
ユーカリ・プラティパスです。
◎ユーカリ・プラティパス
【学名:Eucalyptus platypus】
【英名:Moort / Round-leaved Moort】

日本ではまず知る人もいないほどに
マイナーなユーカリであるplatypusですが、
現地オーストラリアでは、園芸用に人気があり、
特に生息地の西AZではかなり身近なユーカリだそうです。
Moort(ムート)というアボリジニー名を持つことからも、
現地では親しみの深いユーカリであることがわかります。
その葉や外観にも色々と特徴的なところはありますが、
どちらかというと、花を咲かせるユーカリとして
人気があり、現地では頻繁に栽培されています。
前の記事でcrenulataがとても良く茂るという
お話をさせていただきましたが、
このplatypusも非常に良く茂る性質を持っています。
日本にはない樹種ですが、
現地ではMarlockという樹種になるようです。
このMarlockは樹高は10m以内の低木ですが、
とても細くひょろ長い幹にたくさん枝葉が茂るというような、
日本で言うとちょっとした藪を形成しているような
そんな樹種になるようです。
そのため、このplatypusは育て始めてから、
ほとんど真っ直ぐ上に伸びるようなことはなく、
どんどんと枝葉を増やしながら茂っていきます。
写真のplatypusは少し前のもので、
現在はこれよりも遥かに激しく茂っています。
5号鉢ではもう根がパンパンで、
そろそろ鉢増しをする必要があるほどですが、
その樹高はわずか35cm程しかありません。
ところが、横には45cm以上も茂っています。
現在は無理やり支柱で真っ直ぐに矯正しているのですが、
全く矯正を行わなかった場合は、
どんな風に茂って広がっていくのか想像もつきません。
この性質であれば、上手く剪定して育てれば、
玉もの仕立てとして美しい樹形を作ることができるかもしれません。
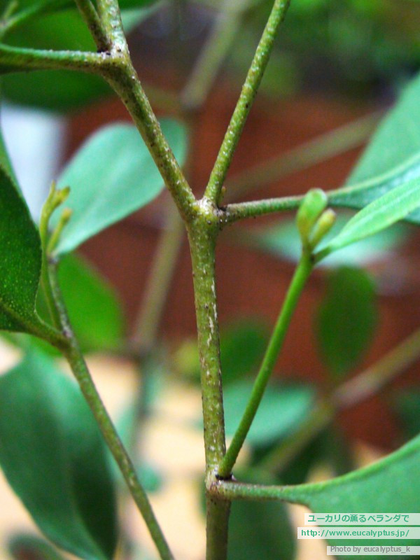
そんな特徴的なplatypusの葉ですが、
ニスを塗ったかのような非常に強い光沢があり、
とても濃く鮮やかな緑色の葉色をしています。
またその葉は非常に硬くしっかりとしています。
整った葉型の品種が多いユーカリでは珍しく、
platypusの葉はかなり不定形です。
platypusの葉は、基本的にはしゃもじのような形をしていますが、
ハート型のものがあったり、団扇型のものがあったり、
槍の先のように尖ったものがあったり、
本当にその形は多種多様で同じ葉型の葉はほとんどなく、
全ての葉がそれぞれ微妙に異なった形をしています。
また多くの葉の周囲はとてもデコボコしており、
左右対称ではないようなヘンテコな形の葉も
結構たくさん生じています。
また、精油の分泌腺が豊富なようで、
葉もとてもザラザラでデコボコしています。
茎も葉と同じようにザラザラしており、
葉・茎ともに粉を吹いているような箇所はありません。
platypusは幼葉と末葉で、ほとんど差の生じない品種です。
ただ、大きく育っていくことによって、
少し葉の形は丸みを帯び、整っていくようです。
生息地は、西AZのアルバニー周辺という、
非常に我儘なユーカリの多い地域ではありますが、
platypusは意外にも、強健で非常に育てやすいユーカリです。
樹高については、本に書いてある最高樹高は8m程度ですが、
そこまで真っ直ぐに大きくなることは稀で、
大概が数メートル程度で激しく横に茂るようです。
platypusはこのような性質から、
とても鉢植え管理向きのユーカリであるといえます。
ただし、激しく横に広がる性質もあるので、
少し場所をとってしまうかもしれません。
先述した通り、花を咲かせるユーカリとして、
現地では人気があり、花の色も様々で面白いです。
基本的には、下の写真のような
ライムグリーンの花がメインのようですが、
クリームホワイトの花が咲くものがあったり、
稀にピンク色の花を咲かせる個体も
存在しているようです。
またこのplatypusの近似種に
vesiculosaというユーカリがあります。
こちらはピンク色の花限定の品種で、
さらに樹高の低い低木品種になります。
このvesiculosaも別途栽培していますので、
またいつかユーカリ紹介でご紹介したいと思います。
platypusの最高樹高を考えると、
1m程度の樹高で開花を目指せるのではないでしょうか。
ただし、必ずしも順調に樹高を伸ばすユーカリではないので、
何mの樹高でというのはあまり参考にならず、
何年目で開花などと考えた方が良いとは思います。
学名のplatypusの意味ですが、
直訳すると「幅の広い足」という意味になります。
これは、platypusの花梗(花が付いている茎)の幅が
とても広いことに起因するようです。

上の写真はそれぞれ蕾と実の写真ですが、
蕾や実が付いている部分が
とても幅広く平たいのがわかるかと思います。
とても面白い特徴がたくさんあるplatypusですが、
この、他にはないような変な特徴の数々は
とても西AZのユーカリ的だなあと思わされます。
こんな特徴的で面白いplatypusの育て方についてですが、
西AZのユーカリらしく、強烈な日光と乾燥を好みますが、
過湿に対する耐性が比較的強く、
とても育てやすいユーカリであると言えます。
ところがタネ播きから育苗初期については、
とても立ち枯れしやすく、中々に難しかったです。
あまりにも育苗初期が難しかったので、
これは中々厄介なユーカリだなあと心配していたのですが、
ある程度育って、丈夫な葉が生じるようになってからは、
とても楽に育てられるようになっています。
まず、小さな間は強乾燥力の用土で且つ、
少し小さめの鉢で育てながら、
しっかりとした根張りを確保したいところです。
platypusの育苗初期の小さな柔らかい葉は、
うどんこ病などの影響を受けることもありますが、
根張りがしっかりと完了した後の分厚く丈夫な葉は、
病害虫の影響をほとんど受けることはありません。
恐らく精油が豊富なこともあるでしょうが、
我が家でも珍しく、ハダニなどの影響を全く受けません。
またしっかりとした根張りを確保できた株では、
西AZのユーカリではとても珍しく、
半日陰程度でも丈夫に育つ、
少しの耐陰性も兼ね備えています。
成長は、東AZのユーカリと比べると遅い方ですが、
西AZのユーカリの中では、それなりに早い方です。
ちょうどlehmanniiやtetragonaなどと同じくらいです。
この成長速度は、育てている上で都合が良く、
遅すぎて退屈にもなりませんし、
早すぎて困ることもないという程度でとても管理しやすいです。
platypusは、西AZのユーカリの中では
かなり水が大好きな方で、
特に初期の根張りが確保できている場合、
暑い時期には東AZのユーカリが顔負けするほどに
水を吸うので、水切れにも注意が必要です。
また、水切れ自体にもあまり強くないようで、
水が切れるとすぐに、丈夫で硬い葉がヨレヨレになり、
葉の艶を失って、だらんと垂れてきます。
水切れに強いユーカリであれば、
そこからしばらくは枯れずに頑張るのですが、
platypusは水が切れるとすぐに、
下葉に枯れが出たりなど傷みやすいので、
水切れには特に注意が必要になります。
冬季になると、吸水量は激減しますが、
それでも西AZのユーカリの中では、
かなり吸水を必要とする方です。
※tetragonaと同程度
冬季でも気づかないうちに水が切れて、
葉が枯れ出していることもあるので気をつけてください。
また、冬季の過湿には、西AZのユーカリの中では、ですが、
ビックリするほど耐えることができます。
また多くの西AZのユーカリが葉痛みしやすい梅雨時期でも、
あまり葉に痛みが出ることはありません。
platypusは、西AZのユーカリらしく、
強烈な日光や高温にはとても強いです。
葉は全く粉を吹いていませんが、
真夏の直射日光などものともせずに元気に育ちます。
ザッと育ててみた感じの印象ですが、
とても楽で丈夫なlehmanniiと言った感じです。
lehmanniiを問題なく育てられる人なら、
platypusは楽に管理できることと思います。
気になるplatypusの耐寒性についてですが、
恐らく、macrocarpaやalbidaなどと同じく、
-8℃くらいまでは耐えられるものと思います。
-8℃程度の耐寒性を持つとされる
西AZのユーカリは、-5℃程度になる我が家のベランダでも、
それなりに紅葉したり、少し葉痛みが生じることがあります。
ところがplatypusは全く紅葉することがなく、
夏場と同じように、鮮やかな葉色を保ち続けています。
昨年の冬は屋外に完全放置していましたが、
目立った葉痛みはほとんどなかったので、
本当はもっと高い耐寒性を兼ね備えているのかもしれません。
platypusの香りについてですが、
シネオールベースのスッとした強い香りに
柑橘系の香りが少しだけ加わったような爽快な香りです。
これは万人受けするであろうとても良い香りです。
orbifoliaやdecipiensなどの香りにも似ており、
さらにシネオールを強くしたような感じです。
葉が硬く分厚いためか、
軽く葉に触れただけではほとんど香りませんが、
強く葉をこすったり、葉を千切ったりしたときには、
周りが香りでいっぱいになるほど強く香ります。
恐らく精油の含有量もかなり多いと思われます。
精油の含有量の多いユーカリは、
支柱を施すときや、剪定などの際に
たくさん触ると、すぐに手がベトベトになるのですが、
platypusもすぐに手がベトベトになります。
栽培したり、花を咲かせたりする用途以外にも、
香りを楽しむユーカリとして十分に利用できます。
現地の文献などでは、platypusの葉を
リースなどにして利用している例を見かけますが、
個人的にはリースにはどうなの?と疑問に思っています。
何故かというと、platypusの葉は、
枯れるとすぐに茶色くなって、
通常の枯れ葉のようになって縮れてしまうからです。
もっとボリュームが付いてきたら、
色々と試してみたいと思っています。
platypusには様々な特徴があり、
本当に育てていると飽きないユーカリです。
西AZのユーカリの中では、
accedensなどと並んでトップクラスに育てやすく、
西AZのユーカリ入門編にも最適です。
コンパクトに管理しやすく、
樹形もこんもりと茂りやすいというのも
とても魅力的な性質です。
platypusは、日本ではとてもマイナーなユーカリなので、
タネから育てるしかないのでは?と思われるでしょうが、
親愛なるこあら師匠の農場では、
すでに栽培が始まって、商品として並んでいます。
育苗初期には少し難しいところがあるので、
慣れない人は、苗を買って育てた方が良いかもしれません。
興味のある方は是非とも育ててみてください!
そして花が咲いた暁には、
何色の花が咲いたか、是非とも教えてくださいね♪
------------------------------
<栽培難易度:B+>
香良さ:★★★★
香強さ:★★★
成長力:★★★
要水分:★★★
耐過湿:★★★
耐水切:★
耐日陰:★★★
耐移植:★★★
耐寒性:★★★
耐暑性:★★★
耐病虫:★★★★
------------------------------
※A簡単~E難しい / A+...Aより少し難しい- # by eucalyptus_k | 2013-06-14 12:39 | ユーカリ紹介
ユーカリ育成ブログです。タネを輸入して150種以上のユーカリを育てています。 By eucalyptus_k
当ブログはリンクフリーです
1/1